Negozio in affitto

Crema, Via Luigi Cadorna
€ 2.000 / mese
Prezzo aggiornato
1 locale 1 locale
115 Mq 115 Mq
1 bagno 1 bagno

Negozio in affitto

Crema, Via Luigi Cadorna

Descrizione annuncio

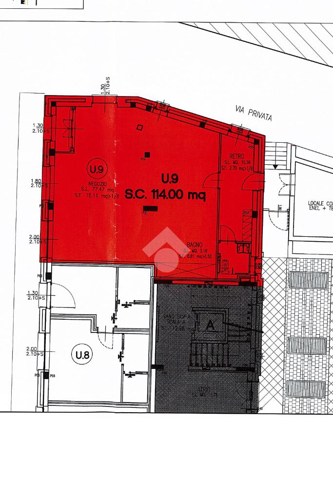
Ampio locale commerciale di nuova realizzazione in affitto – Crema, Via Cadorna

Proponiamo locale commerciale open space di circa 115 mq, di prossima realizzazione, ideale per attività che necessitano di massima visibilità e ampi spazi. Le tre vetrine fronte strada e l’altezza interna di 3,50 m rappresentano il principale punto di forza dell’immobile, perfetto per valorizzare l’immagine aziendale e garantire un’elevata presenza commerciale.

Caratteristiche dell’immobile

Superficie: circa 115 mq

Tipologia: locale commerciale open space

Stato: in costruzione – consegna prevista a lavori ultimati in circa 1 mese e mezzo

Altezza soffitti: 3,50 m

Tre vetrine fronte strada

Doppio ingresso

Accesso per persone con disabilità

Servizio igienico a norma disabili

Porta blindata

Riscaldamento e condizionamento autonomi

Impianto elettrico e di illuminazione

Uscite e luci di emergenza

Internet a banda larga

Locale cablato

Numerosi posti auto esterni

Possibilità di box auto con costo aggiuntivo

Ubicazione e contesto

L’immobile è situato in Via Cadorna, zona strategica di Crema caratterizzata da ottima visibilità e intenso passaggio veicolare. Il contesto è ben servito, con presenza di attività commerciali, uffici e aree residenziali, oltre a comodi collegamenti con il centro città e le principali arterie di accesso. La disponibilità di parcheggi e la facilità di accesso rendono questa soluzione particolarmente indicata per attività commerciali, studi professionali e servizi al pubblico.

Mostra tutto

Nelle vicinanze

Trasporto pubblico Trasporto pubblico
stazione di Crema
stazione di Crema
480 m
Trasporto pubblico
810 m
De Gasperi SUD
De Gasperi SUD
2,0 Km
Ricariche auto elettriche Ricariche auto elettriche
Via Piacenza
1,5 Km
EnerCoop Centro Commerciale Gran Rondò
2,6 Km
Scuole Scuole
Liceo Scientifico Leonardo da Vinci
350 m
Liceo Classico Alessandro Racchetti
380 m
Scuola di Musica Claudio Monteverdi
710 m
Fondazione "Manziana"
720 m
Scuola Primaria Borgo San Pietro
740 m
Farmacia Farmacia
Dott. Vergine
30 m
dott. Bertolini
470 m
Farmacia Granata
800 m
Farmacia
910 m
Conte Negri
980 m
Ospedali Ospedali
Ospedale Maggiore di Crema
1,8 Km
Supermercati Supermercati
MD
430 m
Simply Market
1,2 Km
Lekkerland
1,4 Km
Simply
1,4 Km
Punto Zero
1,4 Km
Negozi Negozi
Dossena
340 m
Franca
510 m
Giòlina
520 m
Urban Style
520 m
Pelle e cuoio
540 m
Bar Bar
Bar
30 m
Babar
230 m
La Sangiovesa
330 m
Babaluba
430 m
Garibaldi
510 m
Ristoranti Ristoranti
Haki
340 m
Il Circolino
390 m
Trattoria Porta Serio
450 m
pizzaria los scolio
480 m
IMO
600 m
Mostra tutto

Caratteristiche

Rif.:
61154385
Totale piani:
3
Box:
1
Posti auto:
15
Condizionamento:
Autonomo
Ascensore:
No
Mostra tutto
Prezzo Prezzo
€ 2.000 / mese
Spese annue Spese annue
€ 0

Altre caratteristiche

Descrizione dei locali
Bagno antibagno

Classe Energetica

Questo immobile è esente da classe energetica
Anno di costruzione:
2026
Riscaldamento:
Autonomo
Tipo impianto:
Ad aria
Tipo alimentazione:
Aria

Prezzo ridotto di €1 (5%%)

Ti interessa visionare l'immobile?

Fissa un appuntamento  Fissa un appuntamento

Richiedi informazioni

Clicca su Leggi per aprire l'informativa
* Questi campi sono obbligatori
Affiliato
Industriale Crema Srl
Viale Alcide De Gasperi, 57/A 26013 Crema (CR)

Il nostro staff


  • Cristiano Cerioli
    Collaboratore

  • Tommaso Fiorentino
    Collaboratore

  • Nicola Gervasi
    Affiliato

  • Andrea Gatti
    Affiliato

  • Salwa El Fares
    Collaboratrice

  • Jacopo Piloni
    Collaboratore

  • Federica Scarpa
    Coordinatrice

  • Valentina Sozzi
    Coordinatrice

  • Claudio Valecci
    Affiliato

  • Francesca Lanzini
    Affiliata
Viale Alcide De Gasperi, 57/A 26013 Crema (CR)
Zona: Crema
Mostra su mappa
Affiliato
Industriale Crema Srl
Viale Alcide De Gasperi, 57/A 26013 Crema (CR)

2026 Tecnocasa Franchising S.p.A. - P. IVA 08365160152 - Via Monte Bianco 60/A 20089 Rozzano (MI). Ogni agenzia ha un proprio titolare ed è autonoma. Privacy policy | Policy utilizzo | Cookie policy